Saatler kala korkutan açıklama! ABD’yi mahvedecek

ABD’li yetkililer, tarihin kayda geçen en büyük Atlas Okyanusu kasırgası olan Irma’nın ülkeyi vurması halinde 'mahvedeceğini' söyledi.

ABONE OL
GİRİŞ 08.09.2017 16:16 GÜNCELLEME 08.09.2017 16:51 Amerika
Saatler kala korkutan açıklama! ABD’yi mahvedecek
Saatler kala korkutan açıklama! ABD’yi mahvedecek

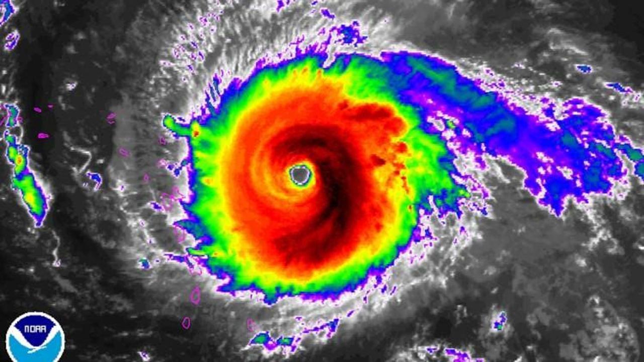
Amerikan Federal Afet Yönetimi Kurumu (FEMA) Cumartesi günü Florida’ya gelmesi beklenen Irma Kasırgası hakkında açıklama yaptı. FEMA Başkanı Brock Long, "Irma Kasırgası, ABD’yi Florida veya diğer Güneydoğu eyaletlerinde mahvedecek bir tehdit olarak durmaya devam ediyor" dedi.

100 binden fazla kişinin sığınacak yere ihtiyacı olabileceğini ifade eden Long, Florida’nın günlerce elektriksiz kalabileceğini söyledi.

KASIRGANIN ŞİDDET DÜZEYİ 4'E DÜŞÜRÜLDÜ

​En yüksek düzey olan 5. kategoriden 4. kategoriye düşürülen Irma Kasırgası, Doğu Karayipler'deki adaları vurup büyük zarar verdikten sonra Florida'ya yönelmişti.

Karayiplerde 1 milyondan fazla insanı olumsuz etkileyen ve 17 kişinin ölümüne yol açan kasırganın yarın ABD anakarasına ulaşması bekleniyor. ABD Ulusal Meteoroloji Servisi'nden uzmanlar kasırganın saatteki hızı 270 km'ye ulaşan rüzgarlar getireceğini tahmin ediyor.

YORUMLAR 251 TÜMÜ
  • Zafer 8 yıl önce Şikayet Et
    ALLAH,İM helak oluşlarını inşallah bize görmeyi nasip eder
    Cevapla
  • Selcuk 8 yıl önce Şikayet Et
    İnşallah abd ye ulaşana kadar gücü bin misline çıkar helak olursunuz
    Cevapla
  • Isimsiz 8 yıl önce Şikayet Et
    El Kahhar El Kahhar El Kahhar El Kahhar El Kahhar Amin Amin Amin
    Cevapla
  • ramazan37 8 yıl önce Şikayet Et
    ALLAH'ım sen ne kadar büyüksün. Başta ülkemiz,ırak,suriye,afganistan,somali ve daha nice abd nin sömürdügü müslüman ülke varsa hepsinin ahı çıkar inşallah....
    Cevapla
  • Cesur 8 yıl önce Şikayet Et
    Ey Büyük Devlet Amerika,Allahın Gazabına karşı bir silahın varmı?Allah Kahhar sıfatı ile tüm zalimleri kahrı perişan eyleyin.Amiiinnnnn
    Cevapla
  • mezzo 8 yıl önce Şikayet Et
    Amin amin amin amin amin
    Cevapla
Daha fazla yorum görüntüle

İLGİNİZİ ÇEKEBİLİR