ABD'de panik: Ida Kasırgası hızını artırıp dördüncü kategoriye çıktı

ABD'de Ida Kasırgası endişesi artıyor. Yetkililer kasırganın şiddetini artırdığını be dördüncü kategoriye çıktığını duyurdu. Kasırganın, ABD'nin Meksika Körfezi'ne bakan kentlerini vurması bekleniyor.

ABONE OL
GİRİŞ 29.08.2021 11:11 GÜNCELLEME 29.08.2021 11:48 DÜNYA
ABD'de panik: Ida Kasırgası hızını artırıp dördüncü kategoriye çıktı
ABD'de panik: Ida Kasırgası hızını artırıp dördüncü kategoriye çıktı

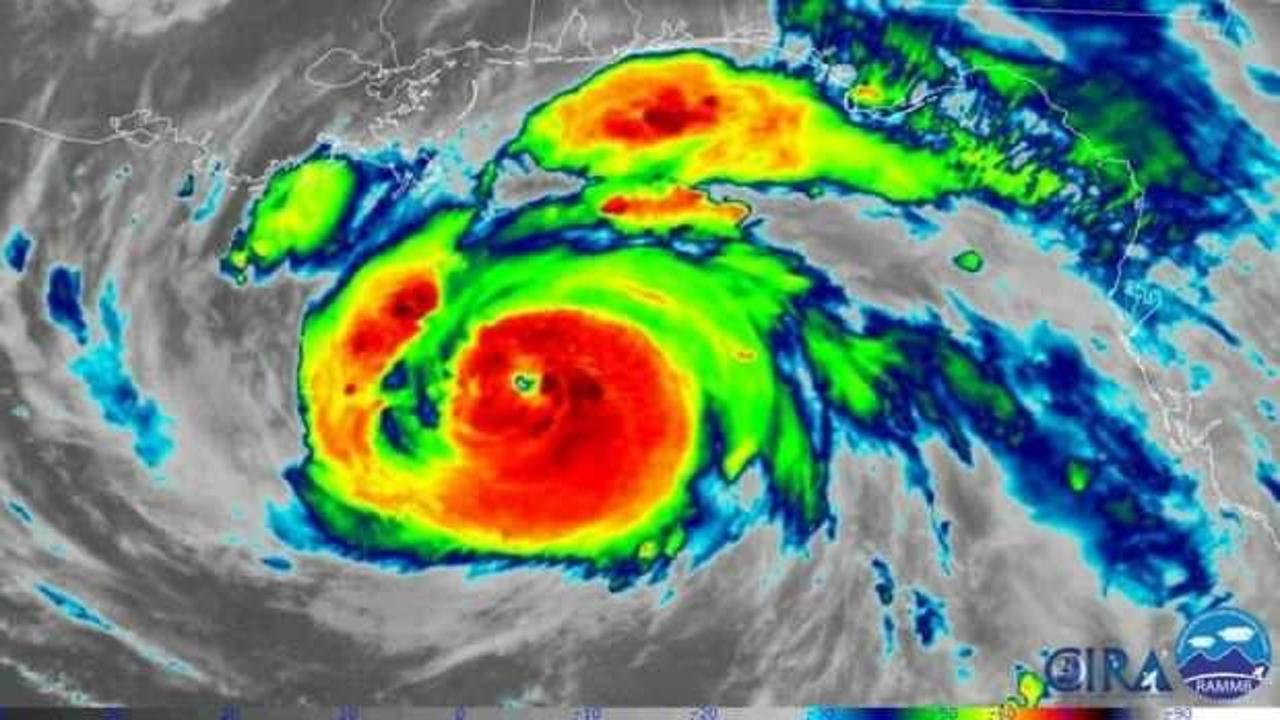
ABD Ulusal Kasırga Merkezi, Ida Kasırgası’nın hızını artırdığını açıkladı. Yetkililer Mississippi Nehri yakınlarında tespit edilen Ida Kasırgası’nın hızını saatte 215 kilometreye çıktığını duyurdu.

Mississippi Nehri’nin 160 kilometre güneyinde tespit edilen kasırga ile ilgili açıklama yapan ABD Ulusal Kasırga Merkezi, “Hızını artırdı ve dördüncü kategoriye ulaştı” duyurusunu yaptı.

Saffir-Simpson ölçeğine göre kasırgalar beş farklı kategoriye göre değerlendiriliyor. En kuvvetli kasırga 5’inci kategoride yer alırken, en hafif kasırga ise 1’inci seviyede yer alıyor.

Yapılan açıklamada bugün bölgede çok şiddetli yağış ve sel uyarısı yapılırken, Louisiana’nın sahil bölgelerinin sular altında kalabileceği belirtildi. Halihazırda Covid-19 sebebiyle zor günler geçiren bölge hastanelerinde de alarm yapıldı.

Louisiana’nın güneyine geçen yıl Laura Kasırgası’nın vurduğunu hatırlatan yetkililer eyaletin en yüksek üçüncü Covid-19 vakalarına ev sahipliği yaptığını hatırlattı.

Louisiana Valisi John Bel Edwards, “Kasırganın hızını artırması bekleniyor. Bu kasırga, 1850’lerden beri eyaleti vuran en sert kasırga olabilir” dedi.

Kasırgaların yaygın olduğu Louisiana’yı 16 yıl önce Katrina Kasırgası vurmuştu. Katrina Kasırgası’nda 1800’den fazla insan yaşamını yitirmişti.

YORUMLAR 5
  • Kayan yildiz. 4 yıl önce Şikayet Et
    ALLAH amerikayi bu kasirga ile yok etsin Amiinn..
    Cevapla
  • gardas 4 yıl önce Şikayet Et
    ALLAHım kahar ismile kareyle bunları seni gutretine sual olunmaz :)
    Cevapla
  • salih 4 yıl önce Şikayet Et
    inşallah
    Cevapla
  • hakan 4 yıl önce Şikayet Et
    cok guzel,, insallah 50 milyon insan heyan olur
    Cevapla
  • Salim 4 yıl önce Şikayet Et
    Hadi inşallah...
    Cevapla

İLGİNİZİ ÇEKEBİLİR