Beykoz 1. Asliye Hukuk Mahkemesi
.
ABONE OL
İ L A N
Sayı : 2026/61 Esas
Konu : 2.İlan
İSTANBUL VAKIFLAR II. BÖLGE MÜDÜRLÜĞÜ ile İSTANBUL DEFTERDARLIĞI arasında mahkememizde görülmekte olan Tapu İptali Ve Tescil (Vakıf Taşınmazı İddiasına Dayalı) davası nedeniyle;
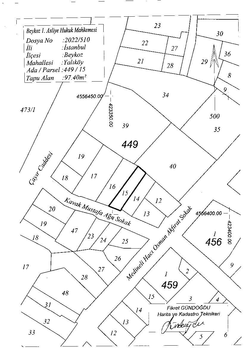
Mahkememiz dosyasında dava konusu edilen Beykoz ilçesi, Yalıköy mahallesi, 449 ada,15 parsel 97,40 m2 yüzölçümlü , arsa vasfındaki taşınmazın tamamının maliki olan Abdullah kızı Nazikader'in gaipliği hakkında bilgisi olanların 6 ay içinde mahkememize haber vermeleri hususu dava konusu taşınmazın krokisi ile beraber ilanen tebliğ olunur. 26.02.2026
GAİP
ADI SOYADI : Nazikader
BABA ADI : ABDULLAH
Taşınmaz adresi : Beykoz ilçesi, Yalıköy mahallesi, 449 ada,15 parsel 97,40 m2 yüzölçümlü , arsa vasfındaki taşınmaz
EK : Fen bilirkişi krokisi

#İlangovtr Basın no ILN02425242